Parques Nacionais Marinhos – Abrolhos

Bora curtir o Parque Nacional de ABROLHOS

Me fala…
Quando falamos de Abrolhos , qual a primeira coisa que vem à sua cabeça?
Será que é o show  das Baleias Jubarte?

Sorte a nossa que  elas vem todos os anos a procura das águas de Abrolhos  para reprodução,  amamentação e para garantir  o desenvolvimento seguro   dos filhotes antes de suas jornadas migratórias.

Ou quem sabe, o prazer de curtir as piscinas naturais?

E as aves marinhas ?
São muitas e  de várias espécies ,  como atobás, fragatas, gaivotas…
Especialmente na Ilha de Siriba (uma das ilhas vulcânicas do Arquipéplago).

FOTO: ENRICO MARCOVALDI/ INSTITUTO BALEIA JUBARTE

Essas aves são essenciais para os ecossistemas marinhos, ajudando na ciclagem de nutrientes e indicando  a saúde do ambiente.

Tem também os golfinhos, 
que também podem ser vistos com frequência na região dos Abrolhos.
Esse é o boto-cinza, “primo”  do boto-tucuxi da Bacia Amazônica,

FOTO: ENRICO MARCOVALDI/ INSTITUTO BALEIA JUBARTE

E tem tanta vida embaixo d’água … 
Não dá para esquecer  ou não sonhar em conhecer! 

Como resistir ao  encanto das tartarugas marinhas?
São várias espécies, que  vão a procura
de um lugar para reprodução e alimentação.
Até  tartarugas gigantes,   como a tartaruga-de-pente
que também costuma frequentar o mar de abrolhos.

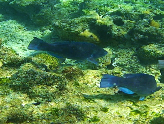
E os peixes, que enriquecem a beleza e biodiversidade
dos ecossistemas marinhos do Parque.
É uma incrível variedade, de cores, forma, tamanhos,
como o peixe-frade e o peixe-borboleta…

FOTO: ENRICO MARCOVALDI/ INSTITUTO BALEIA JUBARTE

E quanto aos recifes de coral de Abrolhos, os maiores do Atlântico Sul?
Eles têm um papel essencial no ecossistema marinho.
Nesse ambiente, encontramos uma impressionante diversidade de corais,
incluindo espécies como o coral-cérebro e o coral-de-fogo.


Os recifes de corais são lar de uma ampla diversidade de organismos, incluindo anêmonas, estrelas-do-mar, ouriços-do-mar e caracóis marinhos, além de grandes peixes. Esses organismos desempenham um papel crucial na manutenção do equilíbrio ecológico dos ecossistemas marinhos.

Os recifes de coral dos Abrolhos são únicos no Atlântico Sul,
como o Coral CÉREBRO.

                                                                        Tem também os CORAIS CHAPEIRÕES
Uma das características mais impressionantes de Abrolhos. São formações  em forma de cogumelos gigantes, que crescem verticalmente a partir do fundo do mar, podendo alcançar até 30 metros de altura e são exclusivas da região de Abrolhos

Qualquer coisa que a gente falar de ABROLHOS é pouco,
mas vale falar um pouco mais sobre os desafios que o PARQUE enfrenta.
Criado em 1983, dá pra para entender porque  foi o primeiro
PARQUE NACIONAL MARINHO criado no Brasil.
com o objetivo de proteger ecossistemas marinhos únicos e sensíveis,
incluindo, assim, recifes de coral, ilhas e uma diversidade incrível de vida marinha.

Um Parque Nacional Marinho,
é uma área de conservação de proteção integral,
destinada a preservar a biodiversidade marinha
e os recursos naturais de uma região específica do oceano.
Tem regras para visitação  e atividades humanas.

Mas O PARQUE NACIONAL MARINHO DE ABROLHOS, enfrenta muitos desafios …
Qualquer coisa que a gente falar sobre ABROLHOS é pouco,
mas vele destacar os desafios que o PARQUE enfrenta,
muitos estão relacionados a fatores externos à sua área.

As mudanças climáticas que aumentam a temperatura
e a acidificam os oceanos, ameaçam 
a vida marinha em Abrolhos.
A pesca ilegal dentro e fora do PARQUE
coloca em risco a sobrevivência de 
diversas espécies
Poluição: O esgoto não tratado, agrotóxicos, lixo e plásticos
lançados nas águas podem causar danos irreversíveis.

Fica evidente que, onde quer que a gente esteja,
podemos contribuir com a preservação de ABROLHOS.
Com a atitude responsável em relação às mudanças climáticas
Denunciando práticas ilegais, como a pesca predatória
Descartando de forma adequada,
reciclando e reduzindo 
o uso de lixo e plástico,

Sobre essa questão do lixo, vou colocar um trecho do relato do biólogo  João Pedro Zanardo de Andrade, sobre a sua visita em uma das Ilhas do Arquipélago. Texto e fotos de João Pedro Zanardo de Andrade, Biólogo e Voluntário do  INSTITUTO ÚLTIMOS REFÚGIOS  ……. –

“Algumas partes da Ilha Redonda são repletas de lixo, mas não são rastros deixados pelos turistas. A sujeira, na verdade, vêm com o mar, pelas correntes marítimas. Em certos locais, é comum ver peças de barcos, madeiras, garrafas de plástico, vidro e até latinhas com escritas em línguas estrangeiras, mostrando que o lixo que chega na ilha vem de muito longe.”

Não podemos fazer a diferença?

Mais belezas e curiosidades de ABROLHOS
O PARQUE NACIONAL DE ABROLHOS, é um dos 3 PARQUES NACIONAIS MARINHOS: ABROLHOS (o primeiro, criado em 1983) , FERNANDO DE NORONHA E O PARQUE NACIONAL MARINHO DAS IHAS DOS CURRAIS.
Abrolhos, um arquipélago de cinco ilhas vulcânicas situado a cerca de 70 km da costa da Bahia, tem assunto pra mais de metro, começando pelo nome.  Batizado pelos portugueses , em 1503, recebeu o nome “Abre Olhos” devido aos perigos que representava aos navegadores, com seus recifes de coral submersos, aí ficou ABROLHOS.
AS ILHAS
Formação vulcânica há milhões de anos.

ILHA DE SANTA BÁRBARA,
a maior do arquipélago, é administrada pela Marinha do Brasil e não está sob a jurisdição do Parque. É é a única  habitada, possuindo infraestrutura que inclui residências para militares e pesquisadores, um farol, um heliporto e uma capela. Por estar fora da jurisdição do Parque, é a única ilha onde algumas plantas e animais foram introduzidos, como as cabras, que fornecem carne e leite, algo não permitido nas demais ilhas. O fornecimento de alimentos é feito a partir do continente, uma vez que a pesca é proibida. O farol, que foi inaugurado em 1861, tem 60 metros de altura e orienta os navegantes com seu sistema de rádio e boletins meteorológicos.

 ILHA SIRIBA.
Está a 16 metros acima do nível do mar.
É a única ilha do arquipélago onde é permitido desembarcar para uma visita guiada. Durante a visita, é possível observar desde a formação geológica do arquipélago até as diversas espécies de aves e seus ninhos. As ilhas Siriba e Santa Bárbara são o lar da maior colônia de atobás-brancos do arquipélago.

 ILHA REDONDA
A mais alta de todas, só perde para a Santa Bárbara. Nas encostas fragatas costumam fazer seus ninhos. Durante o verão, recebe a visita das tartarugas-cabeçudas para a desova.

 A ILHA GUARITA,
é a menor do Parque e o desembarque também é proibido. É cheia de pedras arredondadas que parecem pintadas de branco, mas na verdade, essa coloração é resultado das fezes das diversas aves que habitam a região, como o Benedito, que escolheram a ilha para pouso e reprodução. Ao redor da Ilha Guarita, encontram-se os recifes de franja mais desenvolvidos do arquipélago.

Os Beneditos

Histórias e curiosidades de ABROLHOS,
Hoje, Abrolhos recebe os amantes da natureza, das belezas do fundo do mar, dos shows das Baleias Jubarte, dos golfinhos, das aves marinhas, além de ser um importante centro de pesquisa científica.
Mas nem sempre foi assim, já serviu de base para piratas e corsários que atacavam embarcações na rota da Europa para a América, de destino de navios negreiros que transportavam escravos da África para o Brasil e já foi bastante maltratado com a extração de óleo de baleia e pesca predatória.

Como ir a Abrolhos
“Para conhecer o arquipélago dos Abrolhos, somente as operadoras de turismo autorizadas junto ao Parque Nacional Marinho dos Abrolhos, podem realizar esse trajeto.  Ver no site do ICMBIO/ EMPRESAS AUTORIZADAS
As empresas oferecem alimentação, alugam equipamentos de mergulho (livre e autônomo), dispõe de profissionais qualificados para conduzir visitantes no Parque Nacional, além de cumprirem requisitos de segurança exigidos pela Marinha do Brasil e Embratur. Duração da viagem de Caravelas/BA ao Arquipélago dos Abrolhos: de 2h30 a 5h, dependendo do tipo de barco e das condições de tempo. Duração do passeio: pode ser de um dia (bate-volta) normalmente de 07h às 18h. Ou passeio com pernoite (live aboard) de 2 a 4 dias “– FONTE ICMBIO

Catamarã da HORIZONTE ABERTO – uma das empresas autorizadas pelo ICMBIO

O Parque Nacional de Abrolhos
é um tipo de Reserva Marinha do Brasil
São vários tipos l
Reserva Biológica Marinha
Parque Nacional marinho
Área de Proteção Ambiental Marinha
Reserva Extrativista Marinha

Se quiser conhecer um pouco sobre as Reservas Marinhas do Brasil
(Unidades de Conservação Costeiras e Marinhas).
É bem legal,  só clicar aqui …